Por Voz de la Diáspora
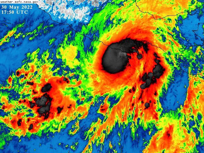
México – Esta tarde el centro del huracán Agatha, categoría 2 en la escala Saffir-Simpson, se localiza a 50 kilómetros (km) al sureste de Puerto Escondido y a 55 km al sureste de Puerto Ángel, ambos de Oaxaca; tiene vientos máximos sostenidos de 165 kilómetros por hora (km/h), rachas de 205 km/h y desplazamiento hacia el noreste a 13 km/h. Se prevé que impacte entre la tarde y noche, tiempo del centro de México, en los municipios de Santa María Tonameca y San Pedro Pochutla.
El Servicio Meteorológico Nacional (SMN) de la Comisión Nacional del Agua (Conagua) en coordinación con el Centro Nacional de Huracanes, conserva activa zona de prevención por efectos de huracán desde Salina Cruz hasta Lagunas de Chacahua, Oaxaca.
Debido al desarrollo del sistema, permanece el pronóstico de lluvias puntuales extraordinarias (mayores a 250 milímetros [mm]) en Oaxaca; intensas (de 75 a 150 mm) en regiones de Chiapas, Guerrero, Tabasco y Veracruz, y muy fuertes (de 50 a 75 mm) en localidades de Campeche, Quintana Roo y Yucatán.
Además, se mantienen los vientos de 140 a 170 km/h y oleaje de 6 a 8 metros (m) de altura en las costas de Oaxaca, y rachas de 90 a 110 km/h con oleaje de 4 a 6 m de altura en el litoral de Chiapas y Guerrero.
Las precipitaciones podrían generar deslaves, incremento en los niveles de ríos y arroyos, y desbordamientos e inundaciones en zonas bajas.
Según el Centro Nacional de Huracanes se espera que se forme un área grande y compleja de baja presión sobre Centroamérica en unos pocos días, relacionada con los restos del huracán Agatha en el Pacífico mexicano. Existe 40% de probabilidad de formación de Tormenta dentro 5 días aproximadamente.
